Melissa supera a Katrina: Cuba se prepara para el huracán más devastador del siglo; alerta máxima
Un hombre camina bajo la lluvia antes de la llegada del huracán Melissa a Canizo, una aldea en Santiago de Cuba, 28 de octubre de 2025. Ramón Espinosa / AP
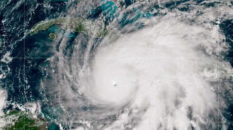
- Se esperan vientos sostenidos cercanos a los 300 kilómetros por hora y fuertes afectaciones materiales, aunque de momento los esfuerzos se concentran en prevenir la pérdida de vidas humanas.
12HORAS / CUBA.-Cuba se prepara para recibir los embates del huracán Melissa, considerado el más fuerte de la temporada y que ya superó el potencial destructivo de Katrina, de 2005, al registrar vientos sostenidos de 297 kilómetros por hora.
En Santiago de Cuba (sureste), donde se espera que el fenómeno meteorológico golpee con fuerza, este martes había poca afluencia de personas en las calles debido a las medidas adoptadas por las autoridades y los ciudadanos para salvaguardar la producción de alimentos y asistir a los damnificados tras el paso del ciclón.
En la misma directriz se ordenó la evacuación de miles de personas en todo el oriente, por donde se espera que pase Melissa, al tiempo que se afinan los últimos detalles de preparación antes de la llegada del huracán, como el uso de maquinaria para proteger infraestructuras clave.
«Nosotros nos estamos preparando con todos los métodos de seguridad, limpiando nuestros patios, podando los árboles de nuestros patios, de nuestras áreas, de nuestras calles», declaró a RT un santiaguero.

El huracán Melissa es uno de los más fuertes del Atlántico en más de un siglo
Cinco provincias del este cubano constituyen la zona crítica de impacto del ciclón. Ante esto, el Gobierno central de La Habana mantiene un monitoreo permanente de la situación, pues expertos locales determinaron que Melissa es el tercer huracán más potente en la historia del país.
Según sus estimaciones, se esperan vientos sostenidos cercanos a los 300 kilómetros por hora y fuertes afectaciones materiales, aunque de momento los esfuerzos se concentran en prevenir la pérdida de vidas humanas.
El exhorto de Díaz-Canel
Previamente, el presidente cubano, Miguel Díaz-Canel, exhortó a la población a tomar precauciones y mantenerse en sitios seguros, ya que, cuando el huracán pase «con su efecto devastador», «ya no hay tiempo para hacer más».
«Queremos insistir en la magnitud del evento, en la necesaria comprensión de la población del riesgo que significa el huracán por las magnitudes que trae: vientos por encima de los 260 kilómetros por hora, que pueden destruir cualquier instalación que no tenga condiciones adecuadas», sostuvo el mandatario en un mensaje dirigido a la ciudadanía.

Díaz-Canel llama a la población a alistarse para el «efecto devastador» del huracán Melissa
Aunque no precisó el número, aseguró que ya habían sido evacuadas «una alta cifra de personas», particularmente quienes residen en zonas con riesgo de inundación. A ese respecto, instó a no bañarse en ríos crecidos y a no abandonar los lugares de evacuación antes de que existan condiciones para ello.
«Habrá mucho que trabajar. Sabemos que van a ser muchos los daños que va a ocasionar este ciclón, pero tendremos toda la capacidad para recuperarnos en la producción de alimentos, en la recuperación de las viviendas que sean destruidas o dañadas, en la recuperación de la economía y también en la recuperación y la vitalidad de los principales procesos productivos y sociales del país», completó.
RT
Compartir:

